Размещение нестационарных объектов
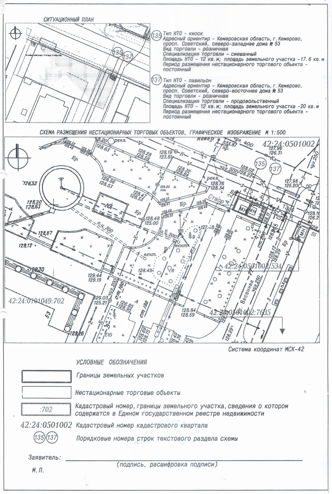
Площадь торгового объекта 12 кв.м, кадастровый квартал/зем.уч. №42:24:0501002. Тип нестационарного торгового объекта – продовольственный павильон. Срок аренды 5 лет
Дата и время проведения аукциона:20.05.2026 в 11:00 час.
Заявки принимаются до: 18.05.2026
Адрес: г.Кемерово, просп.Советский, северо-восточнее дома №53
Площадь объекта недвижимости (м2): 12
Годовой платеж (руб.): 29 678,40 (аукцион в электронной форме)
Срок действия договора: 5 лет
Сумма задатка (руб.): 12 003,52
Шаг аукциона (руб.): 1 483,92

Аукционная документация:

Формы заявок и типовые договоры купли-продажи и аренды имущества размещены в разделе "Аукционная документация".
Адрес электронной площадки, на которой принимаются заявки и проводятся электронные торги: sale.zakazrf.ru.

По вопросам получения дополнительной информации о работе электронной площадки обращаться в Службу технической поддержки тел.8(843) 212-24-25, sale@mail.zakazrf.ru.

В отношении неэлектронных торгов, заявки принимаются по рабочим дням по адресу: г.Кемерово, ул.Дарвина, д.4 (специализированый ящик для приема в фойе первого этажа) либо почтовым отправлением.

Одно лицо имеет право подать только одну заявку на каждый лот.

Требования к заявителям, а также перечень необходимых для участия в торгах документов указаны в информационном сообщении.

Сумма задатка для участия в электронных торгах перечисляется (вносится) непосредственно претендентом в течение срока приема заявок единым платежом на счет Претендента, открытый при регистрации на электронной площадке: р/с 40602810900028010693, получатель АО "АГЗРТ", банк ПАО "АК БАРС" БАНК г.Казань, БИК 049205805, к/с 30101810000000000805, ИНН 1655391893, КПП 165501001. Назначение платежа: Пополнение счета по площадке sale.zakazrf.ru, счет № __._____._____-VA. НДС не облагается.

Возврат денежных средств осуществляется путем их разблокировки в личном кабинете участника торгов.

В отношении неэлектронных торгов, реквизиты для перечисления задатка указаны в соответствующем информационном сообщении.

Внесенный победителем задаток засчитывается в счет оплаты приобретаемого имущества.

При уклонении или отказе победителя аукциона (единственного участника) от заключения в установленный срок договора, он утрачивает право на заключение указанного договора и задаток ему не возвращается.

С информацией о ходе проведения процедур торгов претендентам можно ознакомиться по телефонам ‎(3842) 75-32-52, 75-04-66, а также на сайте учреждения.

К списку торгов